На выезде из Ярославля построят новый микрорайон
Помимо жилых домов, здесь разместят школу, детские сады и врачебную амбулаторию.
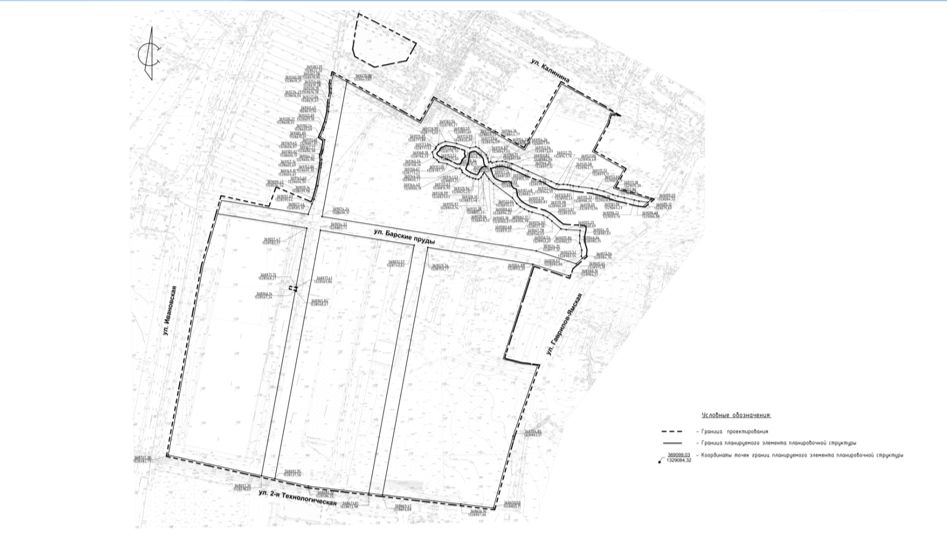
Во Фрунзенском районе Ярославля построят новый микрорайон. Мэр Ярославля Артем Молчанов подписал постановление об утверждении проекта планировки и межевания двух несмежных незастроенных территорий в районе улиц Калинина, Рябиновой и Ивановской.
Здесь планируют разместить многоквартирные жилые дома высотой 5, 7, 12, 16 и 17 этажей. Также появятся четырехэтажная школа на 1050 мест и два детских сада на 280 мест каждый. В одном из жилых домов разместится врачебная амбулатория с кабинетами вакцинации, процедурного, акушерского и функциональной диагностики. Также первые этажи задействуют под магазины, аптеки, спортивные залы, банки.
В новом районе построят улицы 2-я Технологическая, Гаврилов-Ямская, Барские пруды и еще две, которым пока не дали названия.
Напомним, что в мае власти
Фото мэрии Ярославля
Короткий адрес этой новости: https://yarreg.ru/n6cgz/












Комментарии: