В Ярославле собираются продлить улицу Доронина
В мэрии подписали соответствующий документ.
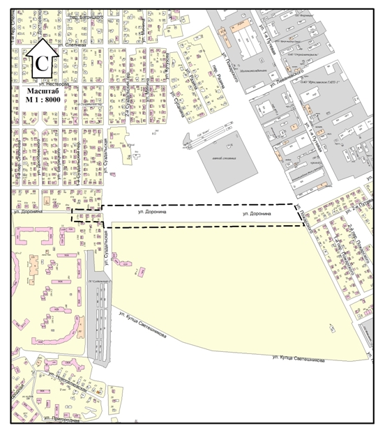
В Ярославле собираются продлить улицу Доронина от улицы Суздальской до улицы Пожарского. Соответствующее постановление подписал первый заместитель мэра Вячеслав Гаврилов.
Прежде всего должен быть подготовлен проект планировки и проект межевания территории. Магистральная улица будет достигать 850 метров.
Фото с сайта мэрии Ярославля
Короткий адрес этой новости: https://yarreg.ru/n6dil/











Комментарии: